
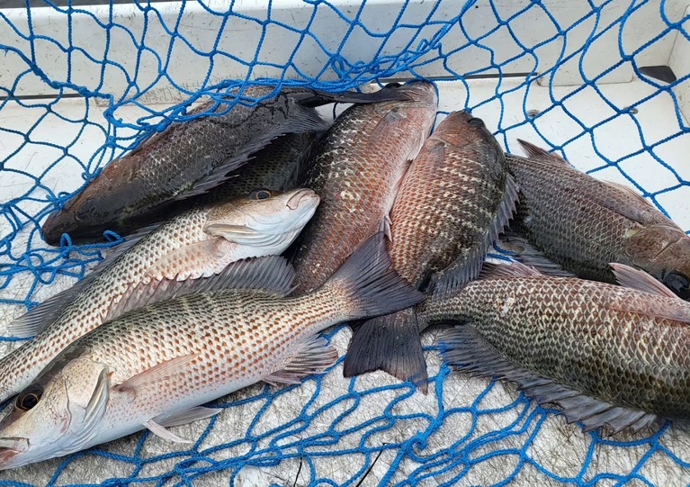
Kids catching snook, redfish, snapper, parents and kids laughing, and grown ups muscling in multiple permit a trip out on the shallow wrecks have been making these busy first two weeks of July exciting! I absolutely love watching families go out early in the morning, not sure what to expect, only to be surprised by the yank of a redfish, or a fun sized snook exploding and shaking its head while the kid on the other end is mesmerized with the sight!


All the inshore trips are producing a nice bag of fresh snapper filets from the hard fighting mangrove snappers. These scrappers are perfect to keep the kids busy between big fish bits, and a yummy fresh fish lunch or dinner!

And yet again, hearing the line rip off a big rod when a permit realizes it is hooked, is beyond exciting, especially during the moments that line is almost gone and a grown man looks at me helplessly for advice. Hang on brother, you might get lucky is usually all I got!

Permit fishing is red hot right now. The shallow wrecks that are just offshore up and down the coast from Naples, Marco Island, down to the Everglades, are full of life All kinds of turtles, schools of tropical spadefish, silvery lookdowns, giant barracuda circling just below the surface. Who knows what lurking below, just out of sight. We go out there to target the permit.
A freelined crab on light leaders and stout spinning tackle, is going to get hit. Part of the fun, is sneaking the fish off the structure, and away from the sharks, until it is far enough away from the wreck. Then, its time to crank down and feel the power of the fish as it tries to get back to the wreck, and away from the giant sharks that get alerted to the struggle.

It’s always exciting. The blistering runs and power, and explosive attacks from giant bull sharks makes the entire battle one to be remembered. Permit are also one of the best eating fish in the ocean, and a true delicacy for those who like to eat fish.

The waters are getting darker with the continued fresh water influx, and the rains are a reality every afternoon, but the fishing is still exciting, and the fun is real inshore or on the nearshore wrecks for catching snook snapper redfish and permit!
#familyfishing#naplesfishingguide#naplesfishingcharters#naplescharterfishing#kidsfishing#kidfriendlyfishing#fishinginnaples#fishingcharter#fishingguide#takemykidsfishing#hirealocalfishingguide#marcoislandfishing#permitfishing#redfish
